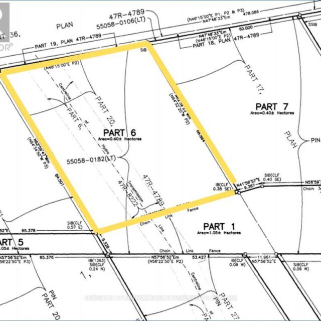
Vacant land parcel of .99 acres in Picton Industrial Park. Looking for the ideal location to establish your business, with access to municipal services, hydro, gas and high speed internet? General Industrial zoning allows for lots of possibilities such as a professional office, light manufacturing, wholesaling or warehousing, transport services, veterinary clinic, recycling depot, light and heavy equipment sales and/or rentals, or a contractor’s yard – a full list of permitted uses can be provided. Buyer must submit an outline of their business plan with the offer and completion of purchase is contingent on Site Plan approval by the municipality.
Property Summary
Property Type:Vacant Land
Availability:For sale
Land Size:0.99 ac
MLS® Number:X11961857
Building Details
Interior Size:1 sq ft
Fireplace:None
Land Details
Frontage:196 ft ,10 in
Depth:226 ft
Water:Municipal water
Zoning Description:General Industrial (MG)
Let us take care of all the amazing details.












